2020 Slurry Seal

Project Image
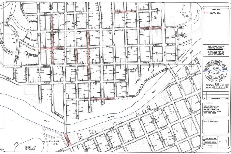
Map of 2020 Slurry Seal projects

Treating streets with a condition ranking of satisfactory or good with a slurry seal rather than an asphalt overlay can stretch the maintenance dollars out by extending the life of the street without having to overlay them as soon.  For this contract, we had bids ranging from $2.65/square yard from our low bidder to $3.99/square yard. Asphalt overlays typically costs up to 10 times as much per square yard compared to a slurry seal.  Overlay type of maintenance treatment is required on roads that fall below the satisfactory ranking.  This slurry seal project bid will treat approximately 59 city blocks.

1.         3,559 SY         NW 11th Street                                                                                                                                  

                                    (NW Despain Ave to NW Gilliam Ave)

 2.         3,570 SY         NW 8th Street                                                                                                                        

                                    (NW Carden Ave to NW Furnish Ave)

 3.         1,143 SY        NW 9th Street                                                                                                                        

                                    (NW Despain Ave to NW Ellis Ave)

 4.         1,728 SY         NW Bailey Avenue                                                                                                               

                                    (NW 6th St. to NW 8th St.)                                                                                                                                                                                   

5.         1,796 SY         NW Ellis Avenue                                                                                                                   

                                    (NW 10th St. to NW 12th St.)

6.         1,824 SY         NW Gilliam Avenue                                                                                                              

                                    (NW 4th St. to NW 6th St.)

7.         1,643 SY         NW Furnish Avenue                                                                                                            

                                    (N Main St. to NW 4th St.)

 8.         1,296 SY        SW 10th Street                                                                                                                      

                                    (SW Court Ave to S. Bridge Deck)

9.         403 LF           Traffic Striping SW 10th Street                                                                                            

                                    (SW Court Ave to S. Bridge Deck)

 10.       932 SY           SW 28th Street                                                                                                                      

                                    (SW Marshall Ave to SW Nye Ave)

 11.       4,653 SY         SW 24th Street                                                                                                                      

                                    (SW Perkins Ave to Dead End South)

12.       3,167 SY         SW Jay Avenue                                                                                                                     

                                    (SW 30th St. to SW 31st St.)

 13.       4,356 SY         SW Jay Avenue                                                                                                                     

                                    (SW 32nd St. to SW 37th St.)

 14.       2,501 SY         SW Isaac Avenue                                                                                                                  

                                    (SW Jay Ave to SW 32nd St.)

 15.       3,141 SY         SW Isaac Avenue                                                                                                                  

                                    (SW 30th St. to SW 31st St.)

 16.       2,072 SY         SW Ladow Avenue                                                                                                               

                                    (SW 23rd St. to SW 25th St.)

  17.       4,186 SY         SW Ladow Avenue                                                                                                               

                                    (SW 28th St. to Dead End West)

   18.       3,244 SY         SW Ladow Avenue                                                                                                               

                                    (SW 33rd St. to SW 37th St.)

  19.       3,489 SY         SW Nye Avenue                                                                                                                    

                                    (SW Perkins Ave to SW Marshall Ave)

 20.       4,986 SY         SW 33rd Street                                                                                                                      

                                    (SW Jay Ave to SW Perkins Ave)

 21.       4,419 SY         SW Perkins Avenue                                                                                                             

                                    (SW 33rd St. to Rooster’s Back Driveway)

22.       4,563 SY         SW 39th Street                                                                                                                      

                                    (SW 40th St. to SW 41st St.)

 23.       3,161 SY         SW Quinney Place                                                                                                                

                                    (SW 1st St. to SW 3rd St.)

24.       1,334 SY         SW 2nd Street                                                                                                                       

                                    (SW Quinney Pl to Dead End South)

25.       3,664 SY         Tutuilla Road                                                                                                                       

                                    (SW Athens Ave to 100’ S. of SW Tahoe Ave)

 26.       2,844 LF         Traffic Striping Tutuilla Road                                                                                             

                                    (SW Athens Ave to 100’ S. of SW Tahoe Ave)

Funding

City Council has provided additional funding through a variety of sources to bring the available Street Fund capital outlay for street preservation to $1.2 million annually, with $440,000 targeted to neighborhood streets (non-collector, non-arterial).  Within the $440,000, 30%, or $132,000 is to be targeted to worst case condition residential streets. 

Project Title:
2020 Slurry Seal
Estimated Construction Cost:
TBD
Actual Construction Cost:
190,203.25
Project Type:
Final Project Cost (Construction + Engineering):
205,419.51
Year Completed:
Why It's Needed
Street preservation funding is used to maintain City owned streets. The street system has not had adequate funding to have all streets maintained in good condition. Council recently increased the funding from $800,000 to $1,200,000 annually. Council is working on securing additional funding of $1,000,000 annually. This would bring the total funding goal to $2,200,000 for 10-years to address the overall very poor, poor, and fair condition of City owned streets in the community. Without increased funding targeted to streets, the overall condition of the streets will continue to deteriorate. The overall goal is to get all streets to be in good condition and have adequate funds to maintain them in that condition for future generations.
Address

500 SW Dorion Ave
Pendleton, OR 97801
United States

Project Status

Project Milestones

Project Milestones
Date
January 2020
Milestone Description

Contract for City-wide Street Slurry Seal project awarded to the low bidder, Blackline, Inc., for $190,203.25.

Address Geolocation